🐕 Hüftdysplasie verstehen und präventiv beeinflussen

Biomechanik, Wachstum und frühe Weichenstellung

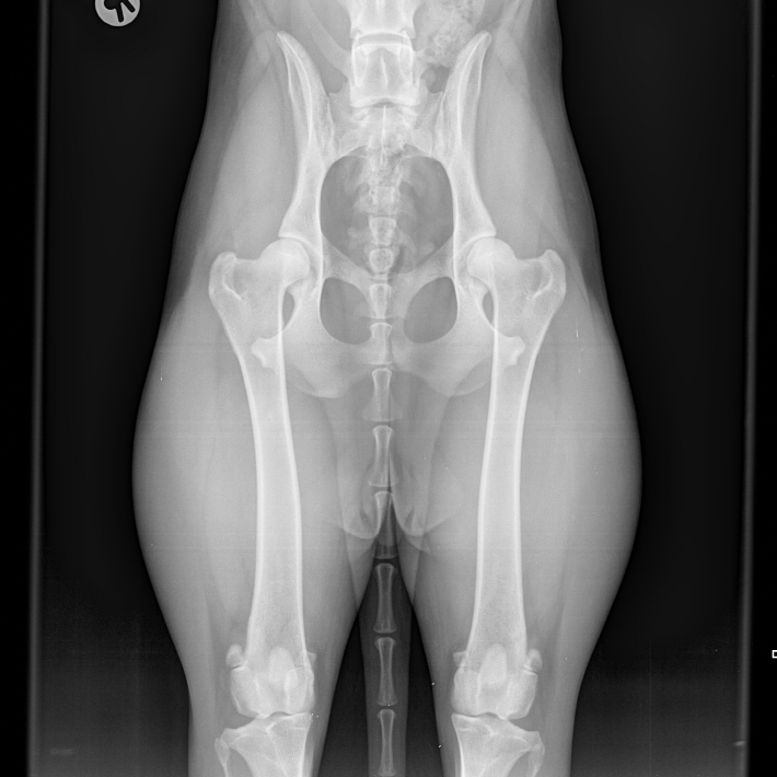
Die Hüftgelenksdysplasie (HD) ist weit mehr als nur ein genetisches Schicksal. In diesem Webinar beleuchtet Dr. med. vet. Patrick Blättler-Monnier die funktionellen Zusammenhänge der Gelenkentwicklung und zeigt auf, wie wir durch gezielte Weichenstellung im Wachstum die Gelenkgesundheit massiv unterstützen können.


Die Schwerpunkte des Webinars:

  • Was HD wirklich ist: Funktionelle Entwicklung statt reiner Genetik.

  • Beckenbodenmechanik: Die Rolle in der entscheidenden Wachstumsphase.

  • Formung des Acetabulums: Wie sich die Pfanne unter Belastung entwickelt.

  • Femurkopf-Zentrierung: Der entscheidende Faktor der Gelenkentwicklung.

  • Biomechanische Ketten: Warum Winkelung, Sprungkraft und Hinterhand zusammenhängen.

  • Früherkennung: Funktionelle Veränderungen im Bewegungsbild rechtzeitig erkennen.

  • Einflussfaktoren: Alltagsbelastung, Training und Umweltfaktoren.

  • Präventions-Mythen: Aufklärung über typische Fehlannahmen.

  • Objektive Bewegungsanalyse: Ihre Bedeutung für die Früherkennung.

  • Praxis-Leitfaden: Konkrete präventive Strategien für den Alltag.


Warum Sie an diesem Webinar teilnehmen sollten

Dieses Webinar schließt die Lücke zwischen theoretischer Genetik und praktischer Orthopädie. Sie lernen, die Hüftentwicklung nicht als statisches Schicksal, sondern als dynamischen Prozess zu begreifen, den Sie aktiv steuern können.

  • Wissensvorsprung: Verstehen Sie die funktionellen Ursachen der HD, bevor sie im Röntgenbild sichtbar werden.

  • Handlungssicherheit: Erhalten Sie einen klaren Leitfaden für präventive Maßnahmen im Alltag (Belastung, Training, Management).

  • Früherkennung: Schärfen Sie Ihren Blick für subtile Bewegungsveränderungen im Wachstum.


Für wen ist dieses Webinar geeignet?

Dieses Fach-Webinar richtet sich an alle, die Verantwortung für die langfristige Mobilität von Hunden tragen:

  • Tierphysiotherapeuten & Osteopathen, die funktionelle Zusammenhänge in der Prävention nutzen wollen.

  • Züchter, die ihre Welpenkäufer fundiert zur Aufzucht und Gelenkgesundheit beraten möchten.

  • Ambitionierte Hundehalter & Sportler, die die anatomischen Weichen für ein langes, schmerzfreies Hundeleben stellen wollen.

  • Tierärzte & Tiermedizinische Fachangestellte, die ihr Wissen in der Biomechanik vertiefen möchten.



Wichtige organisatorische Details:

  • 📅 Termin: Dienstag, 29.09.2026
  • Dauer: 19:00 - 20:30 Uhr (Vortrag inkl. Diskussion)
  • 💻 Plattform: Online via Zoom (Ihren Zugangslink erhalten Sie direkt nach der Buchung per E-Mail).
  • 🎥 Aufzeichnung: Sollten Sie am Live-Termin verhindert sein, steht Ihnen die Aufzeichnung im Anschluss für 4 Wochen in Ihrem Mitgliederbereich zur Verfügung.
  • 🎓 Unterlagen: Es wird ein Skript zum Webinar geben.
  • 🎓 Teilnahmebestätigung: Nach Abschluss des Webinars können Sie sich Ihre persönliche Bestätigung direkt herunterladen.

Dr. med. vet. Patrick Blättler-Monnier

Fachtierarzt & Experte für Biomechanik

Dr. med. vet. Patrick Blättler Monnier ist seit über 25 Jahren als Tierarzt tätig und auf orthopädische Erkrankungen, Schmerzdiagnostik und funktionelle Bewegungsanalyse beim Hund spezialisiert. Als Gründer und Leiter der orthopädischen Hundepraxis orthoVET im Raum Basel, Schweiz widmet er sich der Abklärung und Behandlung komplexer Lahmheits- und Schmerzgeschehen bei Hunden aller Altersstufen.

In seiner Arbeit verbindet Dr. Blättler Monnier klassische orthopädische Diagnostik mit modernen funktionellen Verfahren. Bewegung versteht er dabei als eigenständige diagnostische Informationsquelle, die wertvolle Hinweise auf Schmerz, Fehlbelastungen und Kompensationsmechanismen liefern kann. In der Praxis kommen neben fundierter klinischer Untersuchung auch moderne bildgebende Verfahren sowie Ganganalyse von LupoGait und biomechanische Beurteilungen zum Einsatz, um orthopädische Fragestellungen ganzheitlich zu erfassen.

Ein besonderer Schwerpunkt seiner Tätigkeit liegt auf der Prävention und Früherkennung orthopädischer Probleme im Welpen- und Junghundealter. Aus dieser Arbeit heraus entstanden Konzepte und Programme, die darauf abzielen, Bewegungsauffälligkeiten frühzeitig zu erkennen und langfristigen Schäden vorzubeugen. Dieses Wissen gibt Dr. Blättler Monnier auch in seinen Fachbüchern weiter, darunter Move!, Schmerzen und Verhalten sowie LupoMove Puppy, die sich sowohl an Fachpersonen als auch an interessierte Hundehalterinnen und Hundehalter richten.

Mit seiner Kombination aus klinischer Erfahrung, moderner Diagnostik und wissenschaftlicher Auseinandersetzung trägt Dr. Blättler Monnier wesentlich zur Weiterentwicklung einer bewegungsorientierten Orthopädie und Schmerzdiagnostik in der Tiermedizin bei.





Hinweis:
Der Reseller vermittelt dieses Webinar als externe Leistung.
Er ist nicht Anbieter der Inhalte und übernimmt keine Haftung für die Anwendung der vermittelten Informationen oder Praktiken.
Die Verantwortung für Inhalte, Aussagen und fachliche Einordnung liegt beim jeweiligen Referenten.
Die Teilnahme und Nutzung der Inhalte erfolgt eigenverantwortlich.